Accueil > DICOTYLEDONES > Euphorbiaceae > Euphorbia duvalii Lecoq & Lamotte
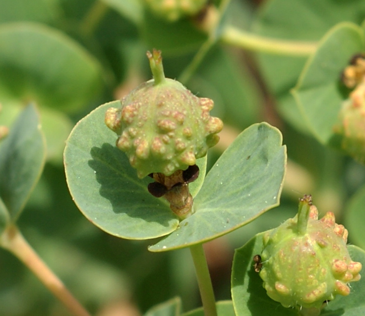
Euphorbia duvalii Lecoq & Lamotte
Noms communs : Euphorbe de Duval, Euphorbe du Roussillon
Description :
Statut de protection : plante patrimoniale
Commune : Alet-les-Bains Arques Auriac Axat Barbaira Bouisse Brenac Bugarach Cabrespine Camps-sur-l’Agly Caunettes-en-Val Citou Comigne Couiza Cubières-sur-Cinoble Dernacueillette Duilhac-sous-Peyrepertuse Espéraza Félines-Termenès Fournes-Cabardès Fourtou Fraisse-Cabardès Gincla Luc-sur-Aude Montgaillard Montlaur Montolieu Mouthoumet Moux Peyrolles Puilaurens Rennes-le-Château Rieux-en-Val Rouvenac Sainte-Colombe-sur-Guette Saint-Julia-de-Bec Saint-Just-et-le-Bézu Salsigne Salvezines Soulatgé Termes Trassanel Véraza Villeneuve-Minervois Villerouge-Termenès Massac
Plantes de la même famille
- Chrozophora tinctoria (L.) A.Juss.
- Euphorbia amygdaloides L.
- Euphorbia biumbellata Poir.
- Euphorbia chamaesyce L.
- Euphorbia characias L.
- Euphorbia cyparissias L.
- Euphorbia dulcis L.
- Euphorbia duvalii Lecoq & Lamotte
- Euphorbia exigua L.
- Euphorbia falcata L. [nom. et typ. cons.]
- Euphorbia flavicoma subsp. mariolensis (Rouy) O.Bolòs & Vigo
- Euphorbia helioscopia L.
- Euphorbia hirsuta L.
- Euphorbia hyberna L.
- Euphorbia illirica Lam. [= Euphorbia villosa Waldst. & Kit. ex Willd.]
- Euphorbia lathyris L.
- Euphorbia maculata L.
- Euphorbia nicaeensis All.
- Euphorbia paralias L.
- Euphorbia peplis L.
- Euphorbia peplus L.
- Euphorbia platyphyllos L.
- Euphorbia prostrata Aiton
- Euphorbia saratoi Ardoino [= Euphorbia tommasiniana auct. non Bertol.]
- Euphorbia segetalis L.
- Euphorbia seguieriana Neck.
- Euphorbia serpens Kunth
- Euphorbia serrata L.
- Euphorbia sulcata Lens ex Loisel.
- Euphorbia terracina L.
- Euphorbia verrucosa L.
- Mercurialis annua L.
- Mercurialis huetii Hanry
- Mercurialis perennis L.
- Mercurialis tomentosa L.
- Ricinus communis L.














